Обяви За нас Контакти
Продава ПАРЦЕЛ
град София, Княжево
При запитване
История на цената
Коригирана в 11:16 на 3 февруари, 2026 год.
Обявата е посетена 770 пъти.
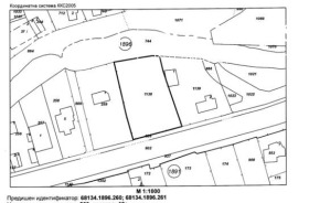
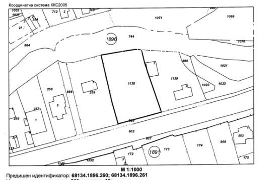
Площ:
1200 m2

Описание на имота:


Bulgaria Sotheby’s International Realty предлага на обезщетение УПИ на бул. Цар Борис III в столичния квартал “Княжево”

Характеристики на имота:

Площ: 1200 кв.м.

Устройствена категория - СМФ 1 / смесена многофункционална зона със занижени параметри/
Плътност на застрояване - 40 %
Кинт - 2
Минимално озеленена площ - 40 %
Кота корниз - 26 м.

Параметри на застрояване:

ЗП: 520 кв.м.
РЗП: 2600 кв.м.
Подземно - 1020 кв.м.
Общо РЗП: 3620 кв.м.
Етажност: 5

Има влязло в сила градоустройство за сключено застрояване на калкан

Реф 6562
Особености
За жил.строителство
За контакт:
02/9632460
Брокер:
office bulgariasir
02/ 963 24 60
Още оферти от брокера: Продава | Дава под наем | Купува | Наема
Агенция:
БЪЛГАРИЯ СОТБИС ИНТЕРНЕШЪНЪЛ РИЪЛТИ
02/9632460; 0888623553;
БЪЛГАРИЯ СОТБИС ИНТЕРНЕШЪНЪЛ РИЪЛТИ logo
Медал за прослужено време
В imot.bg от 2006 г.
bulgariasir.imot.bg
Адрес:
област София, гр. София, ул. Московска 29А, София
http://www.sothebys-realty.bg
ИЗПРАТИ ЗАПИТВАНЕ
ИЗПРАТИ ЗАПИТВАНЕТО

Продава ПАРЦЕЛ
град София, Княжево
Обява: 1r176191398760933

При запитване
История на цената

ЗАПАЗИ ОБЯВАТА

Местоположение: град София, Княжево

Допълнителни данни за имотите в района и сравнение с други райони

Покажи

Период

и 2 месеца

* Средните цени са определени чрез медианна стойност